Dettaglio immobile

Firenze Via A. Da Settimello, 12R

Negozio

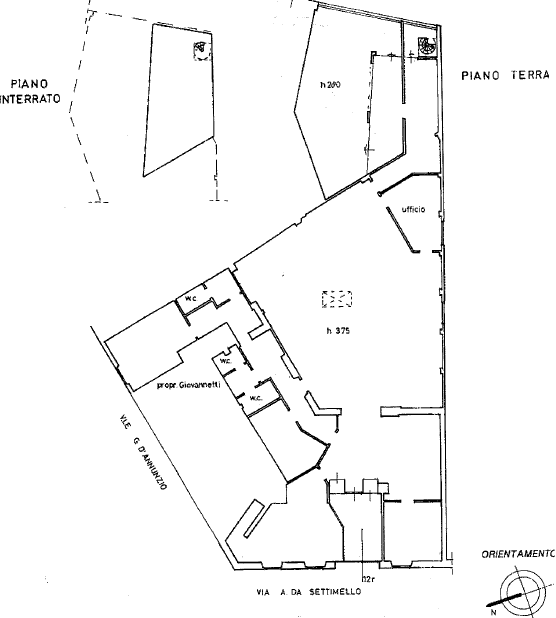
  • Planimetria dell'immobile
  • Planimetria dell'immobile

Descrizione

Il fabbricato di cui l'unit immobiliare in oggetto parte, ubicato nella prima periferia del Comune capoluogo, in prossimit delle principali unit commerciali e dei servizi; la zona facilmente raggiungibile con i mezzi privati ed dotata di vari parcheggi sia con pagamento a ore sia a sosta libera. Il cespite in oggetto parte di un pi ampio fabbricato a destinazione commerciale/residenziale che si sviluppa su cinque piani fuori terra, oltre ad uno interrato, ed edificato all'angolo tra Via da Settimello e Via della Rondinella, in fregio a Via Gabriele D'Annunzio. I locali, che hanno accesso da Via Da Settimello, sono caratterizzati da un ingresso che affaccia sul salone e dai box cassa; entrando, sia sul lato destro sia sul lato sinistro, sono stati ricavati due uffici di supporto, il terzo alla fine del salone. Un corridoio che percorre il lato lungo, nel retro dei box cassa, collega la stanza dei mezzi forti, i servizi ed un quarto ufficio, oltre all'archivio. In prossimit di quest'ultimo locale stato ricavato un vano tecnico e dallo stesso, mediante una scala a chiocciola, si accede al piano interrato dove collocata la centrale tecnologica.

Caratteristiche

Tipologia Commerciale, Negozi, Magazzini
Supericie 557 mq
Categorizzazione Ex Filiale
Prezzo Trattativa riservata
Stato locativo Locato (fine contratto: 30/03/2038 22:00)
Categoria catastale C/01
Luogo Via A. Da Settimello, 12R Firenze 50135
Classe catastale 08

Costi

Prezzo Trattativa riservata
Prezzo al mq del lotto Trattativa riservata
Spese di condominio (ultimo esercizio) 1.717 €/anno

Efficienza energetica

Classe energetica In Corso Di Definizione

Mappa

Visualizza punti di interesse Firenze Via A. Da Settimello, 12R
Codice bene L71877-NEGOZIO
Hai già fatto la tua scelta?
Scopri come fare una proposta o come partecipare a una procedura competitiva
Scopri come